Short description: Genus of beetles
| Beraba
|
|
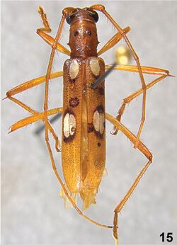
| Beraba limpida
|
| Scientific classification
|
| Kingdom:
|
Animalia
|
| Phylum:
|
Arthropoda
|
| Class:
|
Insecta
|
| Order:
|
Coleoptera
|
| Suborder:
|
Polyphaga
|
| Infraorder:
|
Cucujiformia
|
| Superfamily:
|
Chrysomeloidea
|
| Family:
|
Cerambycidae
|
| Subfamily:
|
Cerambycinae
|
| Tribe:
|
Eburiini
|
| Genus:
|
Beraba
Martins, 1997
|
Beraba is a genus of beetles in the family Cerambycidae, containing the following species:[1]
- Beraba angusticollis (Zajciw, 1961)
- Beraba cauera Galileo & Martins, 1999
- Beraba cheilaria (Martins, 1967)
- Beraba decora (Zajciw, 1961)
- Beraba erosa (Martins, 1981)
- Beraba grammica (Monné & Martins, 1992)
- Beraba inermis Martins & Galileo, 2002
- Beraba iuba Martins, 1997
- Beraba limpida Martins, 1997
- Beraba longicollis (Bates, 1870)
- Beraba marica Galileo & Martins, 1999
- Beraba moema Martins, 1997
- Beraba odettae Martins & Galileo, 2008
- Beraba pallida Galileo & Martins, 2008
- Beraba piriana Martins, 1997
- Beraba spinosa (Zajciw, 1967)
- Beraba tate Galileo & Martins, 2010
References
- ↑ Bezark, Larry G. A Photographic Catalog of the Cerambycidae of the World . Retrieved on 22 May 2012.
Wikidata ☰ Q4890958 entry
 | Original source: https://en.wikipedia.org/wiki/Beraba. Read more |